土地
54450 平方英呎
(5,059平方米)
無
2025年06月01日
已上市 322 天
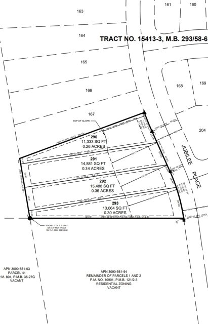
$59,000 for (#290 on proposed map image) 0.26 acre proposed subdivision parcel, or $219,000 for entire 1.26 acre parcel. Land next to 13432 Jubilee PL. Property has curb and driveway cut. Utilities at street. May be subdivided into 4 parcels. Currently allows for one home to be built, without subdividing. Check with city for most recent zoning and building regulations.
中文描述選擇基本情況, 幫您快速計算房貸
除了房屋基本信息以外,CCHP.COM還可以為您提供該房屋的學區資訊,周邊生活資訊,歷史成交記錄,以及計算貸款每月還款額等功能。 建議您在CCHP.COM右上角點擊註冊,成功註冊後您可以根據您的搜房標準,設置“同類型新房上市郵件即刻提醒“業務,及時獲得您所關注房屋的第一手資訊。 这套房子(地址:13430 Jubilee Pl Victorville, CA 92395)是否是您想要的?是否想要預約看房?如果需要,請聯繫我們,讓我們專精該區域的地產經紀人幫助您輕鬆找到您心儀的房子。