土地
91040 平方英呎
(8,458平方米)
無
2025年11月11日
已上市 197 天
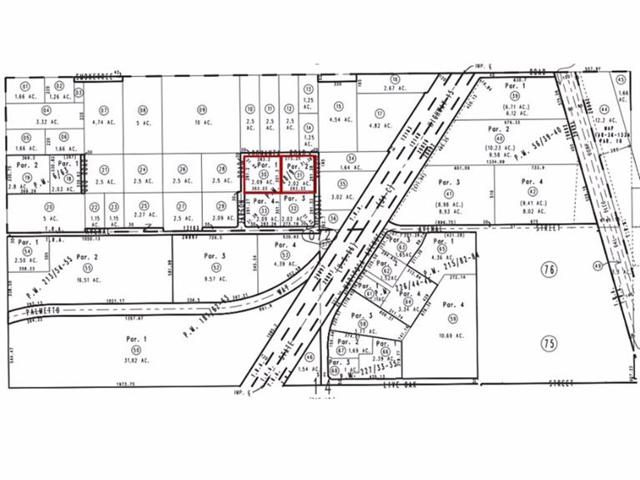
Key commercial area in South Victorville. General Commercial land. Two 2.09 acre commercial lots, only ~660 ft to the proposed hospital campus, and 330 ft west of Amargosa Rd & the I-15 Freeway. Buy together or separately. All utilities available at site, adjacent parcel also available APN #0405-072-31. A short distance to the north is Victorville's very successful Restaurant Row featuring the new BJ's brewhouse. Two new Walmart Supercenter's in the immediate area. Rapidly growing area of Victorville. Very few properties available for sale in this area. Access Type: Public Access # of RV Spaces: 0 Zoning Description: CG General Commrcl Lot Location Type: Standard Location Development Status: Raw Land Easements: See Map of Record Frontage Type: Dirt Road Miscellaneous: Other Utility Adjc to Site: Gas,Electric,Water,Sewer # of Attached Spaces: 0 # of Detached Spaces: 0 # of RV Spaces: 0
中文描述選擇基本情況, 幫您快速計算房貸
除了房屋基本信息以外,CCHP.COM還可以為您提供該房屋的學區資訊,周邊生活資訊,歷史成交記錄,以及計算貸款每月還款額等功能。 建議您在CCHP.COM右上角點擊註冊,成功註冊後您可以根據您的搜房標準,設置“同類型新房上市郵件即刻提醒“業務,及時獲得您所關注房屋的第一手資訊。 这套房子(地址:0 Avenal St Victorville, CA 92392)是否是您想要的?是否想要預約看房?如果需要,請聯繫我們,讓我們專精該區域的地產經紀人幫助您輕鬆找到您心儀的房子。