土地
3484800 平方英呎
(323,748平方米)
無
2024年10月08日
已上市 579 天
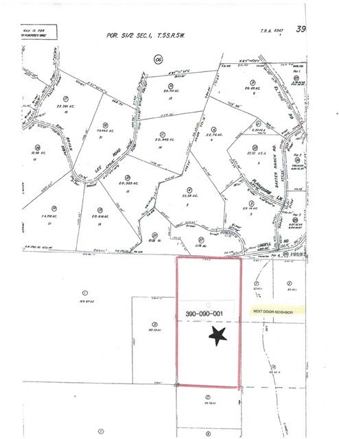
WOW! 80 ACRES LEVEL, $4,988 AN ACRE! ROLLING, LEVELISH, AND HILLY WEST OF EL TORO ROAD AND SOUTH OF BAXTER RANCH ROAD. IT APPEARS THE ASSESSOR MAP AND THE AERIAL MAP HAVE DIFFERENT LOCATIONS OF LINDELL ROAD AS THE AERIAL MAP HAS LINDELL RUNNING THROUGH THIS 80-ACRE PARCEL AND THE ASSESSOR MAP HAS L INDELL ROAD NEXT TO 80 ACRES. SEE MAPS. THERE IS A MOBILE/MANUFACTURED HOME ON TWO 20-ACRE PARCELS NEXT TO THESE 80 ACRES. LEGAL ADDRESS IS 25010 STOVEPIPE CANYON ROAD, LAKE ELSINORE, CA. STOVEPIPE AND LINDELL APPEAR TO BE THE SAME ROAD. EACH 20-ACRE PARCEL NUMBER AND ADDRESS IS 390-090-002 AKA 25010 STOVEPIPE AND 390-090-003 AKA 25020 LINDELL. HOMES COST WAY MORE THAN THESE 80 ACRES. THIS IS A VERY PEACEFUL AREA GREAT FOR THOSE WHO WOULD LIKE TO BUILD A HOME AND DEVELOP A PLANNED RANCHERO OVER THE YEARS. SELL 10 OR 20, EVEN 30 OR 40 ACRES A LITTLE AT A TIME FOR GOOD PROFIT AND MAKE MORE IMPROVEMENTS TO THE RANCHERO. THERE IS ALSO GREAT POTENTIAL FOR AN INVESTOR LOOKING TO HOLD OR SUBDIVIDE THESE 80 ACRES IN THE PATH OF GROWTH. MANY POSSIBILITIES. PLEASE USE MAPS IN SUPPLEMENTS AND THE NEIGHBOR'S ADDRESSES.
中文描述選擇基本情況, 幫您快速計算房貸
除了房屋基本信息以外,CCHP.COM還可以為您提供該房屋的學區資訊,周邊生活資訊,歷史成交記錄,以及計算貸款每月還款額等功能。 建議您在CCHP.COM右上角點擊註冊,成功註冊後您可以根據您的搜房標準,設置“同類型新房上市郵件即刻提醒“業務,及時獲得您所關注房屋的第一手資訊。 这套房子(地址:0 Lindell Rd Lake Elsinore, CA 92532)是否是您想要的?是否想要預約看房?如果需要,請聯繫我們,讓我們專精該區域的地產經紀人幫助您輕鬆找到您心儀的房子。