土地
87748 平方英呎
(8,152平方米)
無
2025年08月19日
已上市 119 天
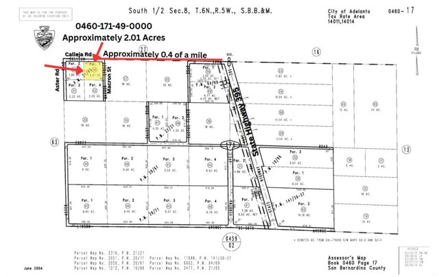
This +/- 2.0 acre parcel is zoned Desert Living (DL2.5) and is approximately less than a half mile just off Hwy 395 within the Adelanto city limits, with solar farms in the area and a trucking company storage lot just two parcels away. It may take some rezoning work with the city, but if you’re looking to store trailers, build a solar farm, build a future home or save it as an investment for the future of Adelanto, either way, this could be the parcel for you. Adelanto is growing by leaps and bounds with multiple housing projects, the legal cannabis industry taking off generating approximately $4.5 million in revenue, and contributing to the city's economic sustainability and growth. And commercial projects with the latest project being built by Lewis Retail Centers on the corner of Mojave Dr & Hwy 395. Hwy 395 is busier than ever, and this is a great area to invest in for the future. All Information is Deemed Reliable, But Not Guaranteed, Buyer and their agent to confirm any and all info including use of the property and any planned projects that you may want to do with it.
中文描述選擇基本情況, 幫您快速計算房貸
除了房屋基本信息以外,CCHP.COM還可以為您提供該房屋的學區資訊,周邊生活資訊,歷史成交記錄,以及計算貸款每月還款額等功能。 建議您在CCHP.COM右上角點擊註冊,成功註冊後您可以根據您的搜房標準,設置“同類型新房上市郵件即刻提醒“業務,及時獲得您所關注房屋的第一手資訊。 这套房子(地址:0 Calleja Rd Adelanto, CA 92301)是否是您想要的?是否想要預約看房?如果需要,請聯繫我們,讓我們專精該區域的地產經紀人幫助您輕鬆找到您心儀的房子。